Description
For Sale: 1,000m² Plot with Sea View – Svinjišta, Budva
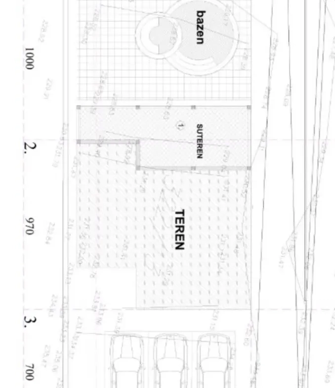
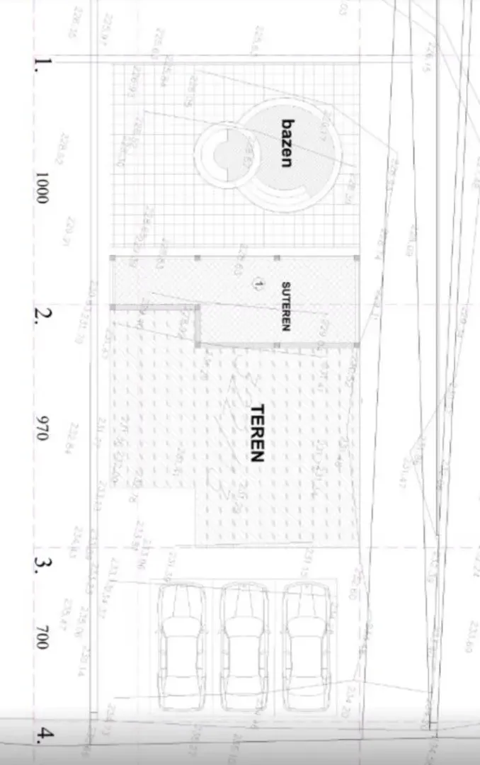
A 1,000m² plot of land is for sale in the village of Svinjišta, located just above Budva. The land has been prepared for construction and a preliminary design has already been completed.
Positioned in an excellent location with a beautiful sea view, the property is only a 4-minute drive from the center of Budva. It is ideal for the construction of two villas.
Details
Updated on June 1, 2025 at 4:52 pm-
Property ID VI-23312
-
Price 180.000€
-
Property Size 10000
-
Property Type Land
-
Property Status For Sale
Contact Information
View Listings- Bedirhan Bozkurt
- +382 69 846 538+382 67 195 282WhatsApp
Enquire About This Property
Address
-
City: Budva
-
Country: Montenegro
Similar Listings
Investment Development Land for Sale – 276 m2 – Sea View – Đenovići, Herceg Novi
- 290.000€
3 days ago
Development Land with House for Sale – 662 m2 Podgorica
- 220.000€
4 days ago
Spacious Family House on a Large Plot with Additional Development Potential
- 650.000€
- 1.750€
4 days ago
Mortgage Calculator
Monthly
-
Down Payment
-
Loan Amount
-
Monthly Mortgage Payment

